Майбутнє має адресу
280000 у.о. |
|||
|---|---|---|---|
| ID | 983 | ||
| Розташування | Соборна пл., Приморський | ||
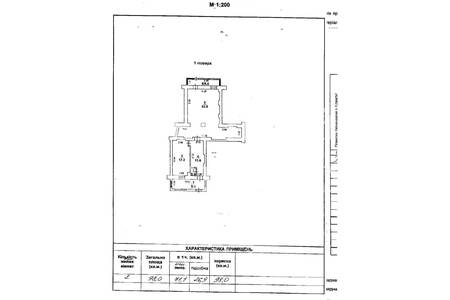
| Загальна, кв.м. | 80.00 | ||
| Стан нерухомості | з ремонтом | ||
| Поверх | 1 /4 | ||
| Висота стелі, м. | 4.00 | ||
Комерция приміщення вільного призначення в центрі міста з ремонтом та в дуже трафіковій локації. Приміщення має площу 80 м .
Виконаний ремонт та все повністю готове до запуску бізнесу. В приміщенні високі стелі, багато освітлення, зроблений санвузол.
Помещение в доме Попудова. Памятник архитектуры местного значения. Фасад на кинотеатр Одесса. 3и фазы, 15кВт.. Есть запасной выход во двор.
Отримати консультацію